Dyskusje - gatunki botaniczne i hybrydy określone - rozmowy

Strona główna forum | Biblioteka | Szukaj | Problemy techniczne | Zarejestruj się | Zaloguj się | Strona główna Strona główna Storczyki.pl
Storczykowe "Gadu-Gadu" | Prezentujemy kwitnienia | Gatunki botaniczne
Cattleya i pokrewne | Cataseta i pokrewne | Dendrobium - gatunki i hybrydy | Powiększamy kolekcje

Przejdź do zawartości

Powrót do listy wiadomości

Tytuł: plaga ziemiórek

Umieść nową wiadomość
Pokaż pierwszy nieprzeczytany post

Tytuł: plaga ziemiórek

Nieprzeczytany post Autor: Piotr Sw Data » 03-12-2013, 23:46

Wiem, że wielokrotnie ziemiórki były opisywane jako mało szkodliwe, ale obecna plaga w moim orchidarium jednak wyrządza szkody miniaturowym gatunkom.
Większość środków jest wycofanych, Nomolt, Basudin, Diazol... Proszę o informacje kto z Państwa stosował coś skutecznego i jednocześnie bezpiecznego dla roślin?
Piotr Sw
 
Posty: 16
Z nami od: 05-11-2013, 00:22
Na górę       Na dół

Tytuł: Re: plaga ziemiórek

Nieprzeczytany post Autor: Przemek Bożek Data » 04-12-2013, 21:44

Polecam oprysk roztworem Bacillus thuringiensis israelensis.
Pozdrawiam,
Przemek B

MÓJ E-MAIL: prz.bozek@gmail.com
Fotografia użytkownika
Przemek Bożek
 
Posty: 142
Z nami od: 16-10-2011, 13:11
Lokalizacja: Wrocław
Na górę       Na dół

Tytuł: Re: plaga ziemiórek

Nieprzeczytany post Autor: Piotr Sw Data » 04-12-2013, 23:56

Dziękuje za odpowiedz, nie znałem zastosowania tej bakterii,
czy może Pan podać nazwę preparatu? lub gdzie można kupić ? w sieci niestety nic nie znalazłem
Piotr Sw
 
Posty: 16
Z nami od: 05-11-2013, 00:22
Na górę       Na dół

Tytuł: Re: plaga ziemiórek

Nieprzeczytany post Autor: Mario 81 Data » 27-12-2013, 10:54

Polecam Decis lub Actelic,co prawda to chemia ale nie zauważyłem by roślinom coś się działo po zastosowaniu tych specyfików;a muszę przyznać że w pewnym momencie często stosowałem. Bez problemu do kupienia na allegro lub w obi.
Mario 81
 
Posty: 36
Z nami od: 22-12-2013, 16:56
Na górę       Na dół

Tytuł: Re: plaga ziemiórek

Nieprzeczytany post Autor: gggoska Data » 27-12-2013, 14:05

Ech chłopaki...co ja mam zrobić? Właśnie odkryłam stado ziemiórek, które musiały wyleźć z choinki :evil: . Donica wielkości hoboka (50l może więcej). Ziemiórek takie ilości dorosłych, że już się boję ile larw. Przecież dzieciom choinki nie wywalę. Zabrałam storczyki z tego pokoju, obstawiłam choinkę żółtymi tablicami i co dalej? Przecież musiałabym mieć fabrykę chemii żeby utłuc to badziewie w donicy. No takiego prezentu od Mikołaja to się nie spodziewałam....
gggoska
 
Posty: 336
Z nami od: 14-06-2012, 06:33
Na górę       Na dół

Tytuł: Re: plaga ziemiórek

Nieprzeczytany post Autor: Piotr Sw Data » 27-12-2013, 16:07

Dopiero planuję zastosować wspomnianą powyżej bakterie, ale na razie nie znalazłem preparatu,
Piotr Sw
 
Posty: 16
Z nami od: 05-11-2013, 00:22
Na górę       Na dół

Tytuł: Re: plaga ziemiórek

Nieprzeczytany post Autor: Jan Ciepłucha Data » 27-12-2013, 20:15

Bakterie na ziemiórki?? Nie słyszałem. Natomiast nicienie - i owszem.
Pozdrawiam
Jan Ciepłucha

Nasze kolekcje, Borówka Amerykańska, Gospodarstwo Szkółkarskie
Fotografia użytkownika
Jan Ciepłucha
Administrator
 
Posty: 918
Z nami od: 01-07-2006, 06:00
Lokalizacja: Konstantynów Łódzki
  • Strona WWW
Na górę       Na dół

Tytuł: Re: plaga ziemiórek

Nieprzeczytany post Autor: Mario 81 Data » 28-12-2013, 14:29

Nicienie to Steinernema feltiae.Obecnie na rynku jest kilka preparatów ,które je zawierają min. Entonem 50 M( liczba 50 oznacza pojemność opakowania). Niestety są to dość kosztowne specyfiki i aby dobrze spełniły swoje zadanie nicienie potrzebują stale wilgotnego podłoża co w odniesieniu do storczyków (nie wszystkich) w okresie zimy może być ciężkie do spełnienia.
Jeśli chodzi o choinkę to radze zakupić wspomiany przeze mnie Actelic i podlać dwa lub trzy razy w odstępach 10 cio dniowych. a donice z góry szczelnie owinąć folią . Może nie bedzie to wyglądało estetycznie,ale dzieci nadal będą miały swoje drzewko a owady wyginą. Zalecałbym też profilaktycznie podlać resztę roślin w domu. Życzę powodzenia.
Mario 81
 
Posty: 36
Z nami od: 22-12-2013, 16:56
Na górę       Na dół

Tytuł: Re: plaga ziemiórek

Nieprzeczytany post Autor: Piotr Sw Data » 28-12-2013, 17:04

Czy Actellic jest zupełnie obojętny nawet dla małych, delikatnych gatunków storczyków ?
Piotr Sw
 
Posty: 16
Z nami od: 05-11-2013, 00:22
Na górę       Na dół

Tytuł: Re: plaga ziemiórek

Nieprzeczytany post Autor: gggoska Data » 29-12-2013, 13:09

Dzięki za zainteresowanie. W moim magicznym magazynie namierzyłam jeszcze nówkę sztukę Nomoltu- użyłam z dziką zajadłością. Dzieci znalazły rozrywkę- zmontowały z ołówka i taśmy klejącej pułapkę na ziemiórki i polują po podłodze. Te świeżo wyklute chyba nie umieją jeszcze latać i łażą smętnie po stole i podłodze narażając się na śmierć z ręki małych kilerów. Zalecane preparaty kupiłam, czekam na przesyłkę aczkolwiek na żadnym nie było napisane nic na temat larw ziemiórek... Wierzę na słowo. Niestety pojedyncze sztuki pojawiają się już we wszystkich pomieszczeniach i podlewanie chemią całości jest nieuniknione. Walka trwa.
A co do nicieni- może wypowie się ktoś, kto stosował. No i jak z zamawianiem w takich temperaturach?
gggoska
 
Posty: 336
Z nami od: 14-06-2012, 06:33
Na górę       Na dół

Tytuł: Re: plaga ziemiórek

Nieprzeczytany post Autor: Mario 81 Data » 29-12-2013, 15:04

Piotrze czy Actelic będzie nieszkodliwy dla naprawdę małych storczyków to nie wiem. Ja stosowałem na dorosłych bądz takich 1-2 lata do kwitnienia, młodszych nie mam.
Jesli chodzi o nicienie,to stosowałem je w poprzednim sezonie;bardzo dobrze spisały się przy paprociach, przy storczykach ktore wymagają przeschnięcia podłoża przed kolejnym podlaniem-słabo. Po prostu zbyt szybko ginęły w suchym podłożu. Tak jak pisałem by były skuteczne trzeba utrzymywać wysoką wilgotność podłoża przez okres 2tyg. jak również podlać roślinę przed jaj i po zastosowaniu preparatu w celu umożliwienia nicieniom rozprzestrzenienia się na całej objętości podłoża. W przypadku większości storczyków w okresie zimowym tyle wilgoci może mieć fatalne skutki. Co do zamawiania przy obecnych temperaturach to śmiało, nicienie przechowuje się w temp. 2-6 stopni( w dodatku krótko ok miesiąca) więc takie temp. jak mamy teraz na pewno im nie zaszkodzą.
Mario 81
 
Posty: 36
Z nami od: 22-12-2013, 16:56
Na górę       Na dół

Tytuł: Re: plaga ziemiórek

Nieprzeczytany post Autor: Piotr Sw Data » 29-12-2013, 17:20

Chodziło mi o małe gatunki z rodzajów Dracula, Porroglossum, Denrobium (sekcja Oxyglossum), Epidendrum, wiem, że one są wrażliwsze i mniej odporne od innych, mam już złe doświadczenia z chemią, kilkanaście roślin uśmierconych Falconem.

Nicienie mogłyby się sprawdzić, te gatunki wymagają stałej, wysokiej wilgotności.
Dalej ciekawią mnie te bakterie wymienione na początku tego wątku, ale nie znalazłem więcej informacji i konkretnego preparatu.
Piotr Sw
 
Posty: 16
Z nami od: 05-11-2013, 00:22
Na górę       Na dół

Tytuł: Re: plaga ziemiórek

Nieprzeczytany post Autor: gggoska Data » 04-01-2014, 14:06

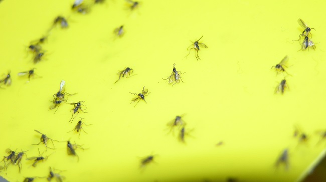
Długi weekend skłonił mnie do rozebrania choinki i pozbycie się (na balkon) źródła zakażenia. Zrobiłam kilka fotek dokumentujących moją walkę
DSCN4145.JPG
i małe zbliżenie na te znienawidzone, unoszące się w całym domu (wpadające dzieciom do rosołu) muszki
DSCN4152.JPG

Teraz tylko podlewanie chemią i nadzieją, że miały marne szanse na romantyczność i nie złożyły zbyt wiele jajek w mych cennych doniczkach
gggoska
 
Posty: 336
Z nami od: 14-06-2012, 06:33
Na górę       Na dół

Tytuł: Re: plaga ziemiórek

Nieprzeczytany post Autor: bo1rek Data » 04-01-2014, 14:59

Ja pokonałem je samymi żółtymi karteczkami. Polecam potrzymać je póki robalki będą się przyklejać.
bo1rek
 
Posty: 14
Z nami od: 20-01-2013, 21:52
Na górę       Na dół

Tytuł: Re: plaga ziemiórek

Nieprzeczytany post Autor: Ryszard410 Data » 04-01-2014, 18:22

Przemek Bożek pisze:Polecam oprysk roztworem Bacillus thuringiensis israelensis.

Czy o to 'biega'. :?:
Mam jedną wątpliwość, ziemiórki nie żywią się liśćmi, nie mniej wojna z nimi i inną gadziną, ;) za pomocą bakterii jest prowadzona od dawna. Ale, ale można tu przeczytać, że potwierdza się to co sprawdziłem eksperymentując z mrówkami. Nie zjadają roślin. :D
Fotografia użytkownika
Ryszard410
 
Posty: 1547
Z nami od: 25-10-2010, 08:56
Lokalizacja: Łódź
Na górę       Na dół

Tytuł: Re: plaga ziemiórek

Nieprzeczytany post Autor: Elazet Data » 12-01-2014, 16:54

Lepy są super,można dodać rosiczki,albo tłustosze.U mnie rosną sobie między storczykami i od czasu do czasu zawsze coś się złapie.I skąd te muszki zimą - by pomyślał.Czy drakula jest aż taka wrażliwa na środki chemiczne? Może ta,ale nie doradzam,bo tej nie znam.
Pozdrawiam
Elżbieta Ziąbkowska
Fotografia użytkownika
Elazet
 
Posty: 524
Z nami od: 04-02-2011, 17:44
Lokalizacja: Pasieki/Tomaszów Lub.
Na górę       Na dół

Tytuł: Re: plaga ziemiórek

Nieprzeczytany post Autor: Dorra Data » 22-09-2016, 11:26

https://www.google.se/search?q=Bacillus ... sviS2mM%3A


https://www.google.se/search?q=Bacillus ... 2rSwLqM%3A


https://www.google.se/search?q=Bacillus ... 1BucPbM%3A


Bacillus thuringiensis jest bakterią, która okazała się bardzo skuteczna w zwalczaniu owadów. Specjalna odmiana B.t var. israelensis (Bti), stosowana jest do zwalczania wszystkich rozprzestrzeniajączych choroby komarów. Bti jest również bardzo skuteczne wobec ziemiórek w naszych szklarniach.

Bti sprzedaje się jako suchy puder, który miesza się z wodą. Ważne jest, aby tak równomiernie jak to możliwe... bo puder opada na dno, więc trzeba mieszać cały czas. Bti rozkładana się w ciągu kilku dni i jest skuteczne tylko wobec larw. Procedurę powinno się powtórzyć trzy razy w odstępach 5-7 dni.

Larwy ziemiórki spożywają Bti poprzez dietę. Gdy Bti dostanie się do układu pokarmowego larwy, uwalnia kryształ białka, który jest trucizną niszczącą ściany jelita larw. Larwy przystają jeść i umierają ciągu 1-2 dni. Produkt Bti ma działanie krótkoterminowe, w przeciwieństwie do nicieni. Te dwa produkty uzupełniają się dobrze i mogą być stosowane w połączeniu.
Dorra
 
Posty: 1383
Z nami od: 06-09-2016, 10:35
Lokalizacja: Sillbo
Na górę       Na dół

Tytuł: Re: plaga ziemiórek

Nieprzeczytany post Autor: Marta Data » 23-11-2016, 06:22

Duża porcja wiedzy. Dziękuję. Kiedyś pomyliłam ziemiórki z WCIORNASTKAMI. Teraz wiem że mają zróżnicowany sposób latania. Ziemiórki mają lot spokojny, a wciornastki jak by miały ADHD. Drogo mnie ten błąd kosztował bo wciornastki są b. grożne. Od tamtego czasu tłukę wszelkie fruwające, nie dochodząc czy to ziemiórki, czy wciornastki, czy niewinne owocówki. Tak mi w nawyk weszło że zabijam wszystko, nawet w samochodzie. :lol: Marta
Fotografia użytkownika
Marta
Kreator
 
Posty: 2221
Z nami od: 13-01-2011, 21:10
Lokalizacja: Dolny Sląsk
Na górę       Na dół

Tytuł: Re: plaga ziemiórek

Nieprzeczytany post Autor: Dorra Data » 23-11-2016, 09:00

Co kraj to obyczaj... nawet dla robaków :?

Ziemiórki nie należą do plagi tu najgorszej... największą panikę wzbudzają u nas wełnowce. Znam kolegów którzy stracili dziesięciokrotną kolekcję storczyków przegrywając walkę z wełnowcami...

Hurra Marta! Ja też zabijam wszystkie owady na moich roślinach... czy to w ogrodzie czy to w storczykach...
Dorra
 
Posty: 1383
Z nami od: 06-09-2016, 10:35
Lokalizacja: Sillbo
Na górę       Na dół

Tytuł: Re: plaga ziemiórek

Nieprzeczytany post Autor: Renia T Data » 10-01-2017, 12:52

Marta pisze: Tak mi w nawyk weszło że zabijam wszystko, nawet w samochodzie. :lol: Marta


:lol: :roll:
Pozdrawiam, Renia
Fotografia użytkownika
Renia T
Kreator
 
Posty: 908
Z nami od: 13-01-2011, 14:53
Lokalizacja: Opolskie
Na górę       Na dół

Poprzedni wątek     |     Następny wątek
Umieść nową wiadomość
Dodaj komentarz do wiadomości

Powrót do Dyskusje



  • ‹ Powrót do poprzedniej strony
  • Zespół administracyjny •
  • Zmień rozmiar tekstu
  • Drukuj
Hosting Telvinet, Wdrożenie DLACIEBIE.NET